[아유경제=정윤섭 기자] 서울 동작구 노량진역 은하맨션 일대 가로주택정비사업이 조합 설립을 위한 절차 막바지에 다다랐다.
지난 7일 동작구는 노량진역 은하맨션 일대 가로주택정비 추진위가 신청한 조합설립인가에 대해 「빈집 및 소규모주택 정비에 관한 특례법」 제23조 및 「토지이용규제 기본법」 제8조에 따라 공람을 진행한다고 고시했다.
이에 따르면 이달 7일부터 오는 21일까지 15일간 동작구 핵심정책추진단 핵심사업개발팀에서 공람 및 의견 제출을 진행하며 관련 서류는 공람장소에 비치돼 있다.
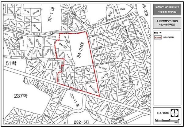
이 사업은 동작구 장승배기로28길 36(노량진동) 일원 8987㎡를 대상으로 건폐율 33.06%, 용적률 273.34%를 적용한 지하 4층에서 지상 22층 규모의 공동주택 198가구(임대 26가구 포함) 및 부대복리시설 등을 지을 예정이다.
한편, 이곳은 지하철 1호선ㆍ9호선 노량진역이 도보 5분 거리에 있어 교통환경이 양호하며 교육시설로는 교육시설로는 노량진초, 영화초, 영등포중ㆍ고, 서울시교육청 동작도서관, 동작영어마루도서관 등이 있다.
더불어 주변에 동작구청, 동작경찰서, 노량진지구대, 노량진1ㆍ2동주민센터 등 행정ㆍ치안시설을 갖추고 있고 장승공원, 대방공원, 용마산공원 용마산 등이 인접해 주거환경이 쾌적하다. 나아가 여의도나 한강시민공원 역시 근거리에 있고 구역에서 이마트, IFC몰, 여의도성모병원 등 편의시설들이 가까워 생활 인프라 역시 무난하다.
[아유경제=정윤섭 기자] 서울 동작구 노량진역 은하맨션 일대 가로주택정비사업이 조합 설립을 위한 절차 막바지에 다다랐다.
지난 7일 동작구는 노량진역 은하맨션 일대 가로주택정비 추진위가 신청한 조합설립인가에 대해 「빈집 및 소규모주택 정비에 관한 특례법」 제23조 및 「토지이용규제 기본법」 제8조에 따라 공람을 진행한다고 고시했다.
이에 따르면 이달 7일부터 오는 21일까지 15일간 동작구 핵심정책추진단 핵심사업개발팀에서 공람 및 의견 제출을 진행하며 관련 서류는 공람장소에 비치돼 있다.
이 사업은 동작구 장승배기로28길 36(노량진동) 일원 8987㎡를 대상으로 건폐율 33.06%, 용적률 273.34%를 적용한 지하 4층에서 지상 22층 규모의 공동주택 198가구(임대 26가구 포함) 및 부대복리시설 등을 지을 예정이다.
한편, 이곳은 지하철 1호선ㆍ9호선 노량진역이 도보 5분 거리에 있어 교통환경이 양호하며 교육시설로는 교육시설로는 노량진초, 영화초, 영등포중ㆍ고, 서울시교육청 동작도서관, 동작영어마루도서관 등이 있다.
더불어 주변에 동작구청, 동작경찰서, 노량진지구대, 노량진1ㆍ2동주민센터 등 행정ㆍ치안시설을 갖추고 있고 장승공원, 대방공원, 용마산공원 용마산 등이 인접해 주거환경이 쾌적하다. 나아가 여의도나 한강시민공원 역시 근거리에 있고 구역에서 이마트, IFC몰, 여의도성모병원 등 편의시설들이 가까워 생활 인프라 역시 무난하다.
ⓒ AU경제(http://www.areyou.co.kr/) 무단전재 및 재배포금지