서비스 신청하기
로그인
회원가입
뉴스스토어
이용가이드
공유뉴스
88,921
공유사이트
398
고객센터
1
포인트
2
플라스틱
3
뉴스스토어
4
김영호
5
비트코인
6
가상화폐
7
통일
8
반려견
9
부고
10
공유뉴스
실시간 인기검색어
1
포인트
2
플라스틱
3
뉴스스토어
7
4
김영호
1
5
비트코인
1
6
가상화폐
3
7
통일
1
8
반려견
1
9
부고
2
10
공유뉴스
2
공유뉴스
전체섹션
정치
IT/과학
사회
경제
연예
세계
생활/문화
스포츠
경제 > 부동산
기사원문 바로가기
[아유경제_재건축] 개포현대2차 재건축, 정비계획 수립 및 정비구역 지정 위한 ‘청취’
repoter : 정윤섭 기자 ( jys3576@naver.com )
등록일 : 2024-04-16 11:17:33 · 공유일 : 2024-04-16 13:01:53
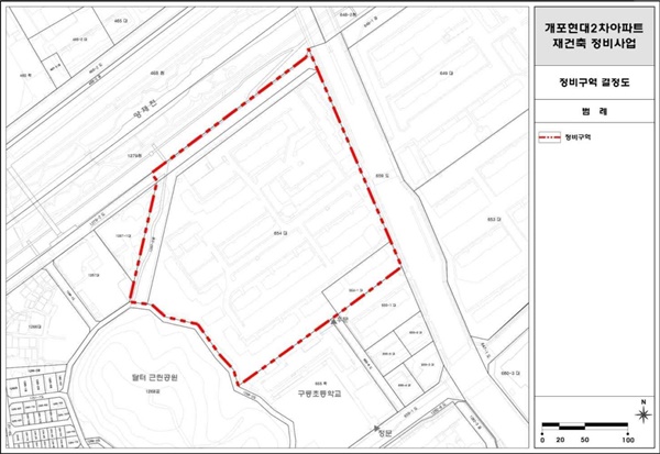
[아유경제=정윤섭 기자] 서울 강남구 개포현대2차아파트(이하 개포현대2차) 재건축사업이 정비계획 수립 및 정비구역 지정을 목전에 뒀다.
지난 15일 강남구는 도시관리계확 결정(변경) 및 개포현대2차 재건축 정비계획 수립 ㆍ정비구역 지정(안)에 대한 주민의견 청취를 위해 「도시 및 주거환경정비법」 제15조제1항 및 동법 시행령 제13조에 따라 공람을 진행한다고 이를 고시했다.
이에 따르면 구는 이달 15일부터 다음 달(5월) 17일 강남구 재건축사업과 및 개포4동주민센터에서 공람을 진행하며 의견은 해당 장소에 제출하면 된다.
이 사업은 강남구 언주로 107(개포동) 일원 6만2251.1㎡를 대상으로 건폐율 50% 이하, 용적률 250 % 이하를 적용한 지상 최고 40층 규모의 공동주택 805가구 및 부대복리시설 등이 건립될 예정이다.
주택은 전용면적 기준 ▲60㎡~85㎡ 이하 359가구(조합원 이외 247가구) ▲85㎡ 초과 446가구 등으로 구성됐다.
추정비례율은 96.09%로 추산됐고 전체 수입 추산액은 2조1765억 원, 사업비 추산액은 6249억 원 규모로 산출됐다(종전자산합계 추산액 1조6148억 원).
한편, 이곳은 지하철 3호선 매봉역이 버스로 15분(도보 포함), 도보 20분 거리에 있고 교육시설로는 구룡초, 서울개원초, 개일초, 구룡중, 개포고 등의 학군이 형성돼 있다. 더불어 주변에 양재천이 흐르고 청룡근린공원, 도곡근린공원 등이 인접해 주거환경이 쾌적하다.
ⓒ AU경제(http://www.areyou.co.kr/) 무단전재 및 재배포금지
[아유경제=정윤섭 기자] 서울 강남구 개포현대2차아파트(이하 개포현대2차) 재건축사업이 정비계획 수립 및 정비구역 지정을 목전에 뒀다.
지난 15일 강남구는 도시관리계확 결정(변경) 및 개포현대2차 재건축 정비계획 수립 ㆍ정비구역 지정(안)에 대한 주민의견 청취를 위해 「도시 및 주거환경정비법」 제15조제1항 및 동법 시행령 제13조에 따라 공람을 진행한다고 이를 고시했다.
이에 따르면 구는 이달 15일부터 다음 달(5월) 17일 강남구 재건축사업과 및 개포4동주민센터에서 공람을 진행하며 의견은 해당 장소에 제출하면 된다.
이 사업은 강남구 언주로 107(개포동) 일원 6만2251.1㎡를 대상으로 건폐율 50% 이하, 용적률 250 % 이하를 적용한 지상 최고 40층 규모의 공동주택 805가구 및 부대복리시설 등이 건립될 예정이다.
주택은 전용면적 기준 ▲60㎡~85㎡ 이하 359가구(조합원 이외 247가구) ▲85㎡ 초과 446가구 등으로 구성됐다.
추정비례율은 96.09%로 추산됐고 전체 수입 추산액은 2조1765억 원, 사업비 추산액은 6249억 원 규모로 산출됐다(종전자산합계 추산액 1조6148억 원).
한편, 이곳은 지하철 3호선 매봉역이 버스로 15분(도보 포함), 도보 20분 거리에 있고 교육시설로는 구룡초, 서울개원초, 개일초, 구룡중, 개포고 등의 학군이 형성돼 있다. 더불어 주변에 양재천이 흐르고 청룡근린공원, 도곡근린공원 등이 인접해 주거환경이 쾌적하다.
ⓒ AU경제(http://www.areyou.co.kr/) 무단전재 및 재배포금지